REQUEST A TOUR If you would like to see this home without being there in person, select the "Virtual Tour" option and your advisor will contact you to discuss available opportunities.
In-PersonVirtual Tour

$ 79,000
Est. payment /mo
Active
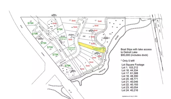
24 Branch Creek RD Detroit Lakes, MN 56501
0.92 Acres Lot
UPDATED:
Key Details
Property Type Vacant Land
Listing Status Active
Purchase Type For Sale
MLS Listing ID 6754292
HOA Fees $200/ann
Annual Tax Amount $16
Tax Year 2024
Contingent None
Lot Size 0.920 Acres
Acres 0.92
Lot Dimensions Irr
Property Description
BRANCH CREEK-OFFERING DIRECT ACCESS TO DETROIT LAKE: Ideal location to build what fits your lifestyle. These spacious lots are framed by the Pelican River (offering direct access to Detroit Lake), Dunton Locks Park (now home to one of world famous Thomas Dambo's giant trolls) and the ever popular paved walking/bike path that meanders along the river to connect Detroit Lake and Sallie. With quick access to downtown Detroit Lakes, enough room to build a matching out building and PAVED roads, nothing can compare to this development. Bring your plans, builder and maybe even a boat! Currently we have boat slips available to purchase for an additional $95,000. Excellent opportunity. Additional lots available
Location
State MN
County Becker
Zoning Residential-Single Family
Interior
Inclusions Platted
Fireplace No
Exterior
Utilities Available None Connected, Electricity Available
Waterfront Description Lake Front,River Front
Building
Lot Description Additional Land Available
Schools
School District Detroit Lakes
Others
HOA Fee Include Dock
Restrictions Other
Listed by Lisa Jasken • Re/Max Lakes Region






